GORSKI KOTAR, LOKVE – attraktives Grundstück 450 m² für ein Einfamilienhaus / eine Villa / eine Wohnung / ein Ferienhaus / zur Miete
| Registrationsnummer | DN-34893 |
| Art des Angebots | Verkauf |
| Kategorie | Bauland |
| Bezirk | Primorsko-goranska |
| Gemeindeteil | Lokve |
| Preis | 65 000 € |
| Preis pro m2 | 144 €/m² |
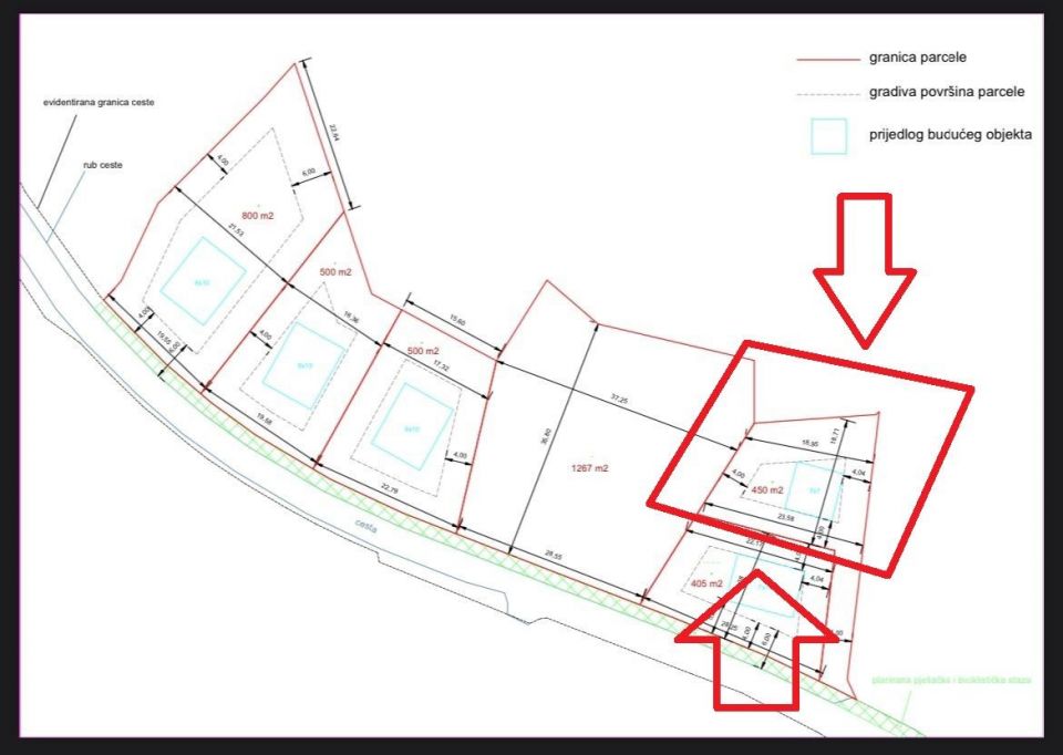
| Gesamtfläche | 450 m² |
| Strom | |
| Wasser |
LOKVE – attraktives Baugrundstück (450 m2) für ein Familienhaus/Villa/Wohnungen/Haus zur Miete/Ferienhaus Auf 780 Metern Höhe, nur 100 Meter vom See entfernt, befindet sich ein Grundstück mit einer Gesamtfläche von 450m2. Das Grundstück liegt neben der Straße, wo sich die gesamte Infrastruktur befindet. Das Grundstück verfügt über das Recht auf einen Durchgang zum See, sodass bei Bedarf Treppen und dergleichen gebaut werden können, was der Schaffung eines Standard-Fußgängerdurchgangs dient. Am Ende des Grundstücks ist laut Raumordnungsplan ein weiterer Stausee vorgesehen. Das Grundstück befindet sich in ruhiger und ruhiger Lage in der Nähe des Sees – Strom und Wasser liegen direkt neben dem Grundstück. Nah an allen Annehmlichkeiten; Lokvarka-Höhle, Omladinsko-See, Nationalpark Risnjak, Ausfahrt von der Autobahn... Gute Gelegenheit für Investoren, die Wohnungen/Häuser zur Miete bauen, aber auch für diejenigen, die ein Ferienhaus oder ein Einfamilienhaus in einem bauen möchten ruhige, friedliche Umgebung.
Bei allen unseren Angeboten sind die Preise identisch mit dem Direktkauf bei der Agentur/dem Entwickler in Kroatien, da wir der offizielle Vertreter dieser Agenturen auf dem tschechischen, slowakischen, deutschen und österreichischen Markt sind. Dies gilt ohne zusätzliche Zuschläge für deutschsprachige Dienstleistungen.
Sehr geehrte Kunden, die Besichtigung von Immobilien, die Mitteilung der Lage und andere detaillierte Informationen sind nur mit einem unterzeichneten Vermittlungsvertrag möglich, der die Grundlage für weitere Aktionen wie den Kauf einer Immobilie bildet. Alles steht im Einklang mit dem Gesetz über die Vermittlung beim Kauf von Immobilien. Der Käufer zahlt eine gesetzliche Vermittlungsprovision in Höhe von 3% (+ MwSt.) des vereinbarten Preises, und zwar nur im Falle des Kaufs der Immobilie. Sollte der Kauf nicht zustande kommen, ist der Vertrag für Sie nicht bindend und wird annulliert. Wenn Sie ernsthaft an der Immobilie interessiert sind, senden wir Ihnen den Vertrag auf Anfrage zu.
Wir werden Ihnen innerhalb von 24 Stunden antworten.
Wir bieten nur geprüfte Immobilien an.
Wir garantieren eine hohe Servicequalität.
Wir können Ihnen bei der Vermittlung von Unterkünften während der Besichtigungen helfen.
- Ich habe eine Immobilie aus dem Angebot ausgewählt
- Ich kontaktiere den Makler
- Ich unterschreibe einen Vertretungsvertrag - Details hier! (die Unterzeichnung des Vertrags ist gesetzlich vorgeschrieben)
- Ich richte eine OIB ein - Details hier (die Einrichtung ist gesetzlich vorgeschrieben)
- Besichtigungen vor Ort
- Unterzeichnung der Reservierung, des Kaufvertrags